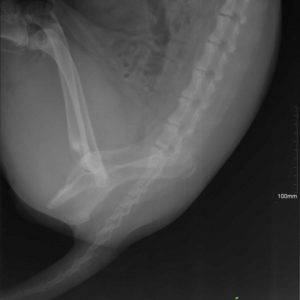
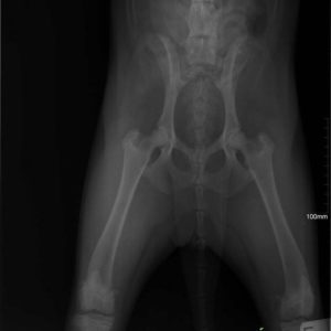
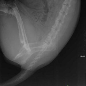
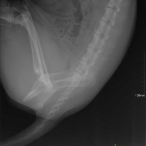
Ismét hálával van teli a szívünk- köszönjük Alexander Englertnek, hogy Zora műtétjét finanszírozta!
Zora túl van a műtéten és 5 nap után újra velünk van a menhelyen! A kedve jó, nincsenek fájdalmai és reméljük a 2 hónap pihenő után végre felszabadultan játszhat majd a többiekkel! 